Plongée Tenerife
Los Gigantes Diving Centre

Plongée sous-marine à Tenerife

Nous sommes le premier centre PADI et BSAC de Tenerife, et proposons depuis 35 ans des plongées de qualité, des formations et des sorties randonnée palmée toute l'année, avec les plus hauts niveaux de sécurité dans le plus beau coin de Tenerife.

PADI 5-Star Centre Enregistré BSAC 35+ ans d'expérience Zone marine protégée
35+
Années d'expérience
20+
Sites de plongée
40m
Profondeur max
19-24°C
Temp. de l'eau

Situé sur le port de Los Gigantes

Nous sommes situés directement sur le port de Los Gigantes, dans le coin ouest spectaculaire de Tenerife, au pied des magnifiques falaises de 600 mètres.

Ces anciennes parois volcaniques plongent de façon spectaculaire dans l'Atlantique, leurs faces sombres veillant sur des eaux où dauphins et baleines pilotes ont élu domicile. Depuis notre semi-rigide de 7,5 mètres, les sites de plongée sont à seulement 3 à 15 minutes.

Nous trouver
Bateau du Los Gigantes Diving Centre

Pourquoi plonger avec nous

Certifié PADI & BSAC

Premier centre PADI de Tenerife et enregistré BSAC. Notre moniteur principal détient les certifications BSAC 3 étoiles instructeur et PADI Master Instructor. Les brevets de tous les organismes de formation sont reconnus.

Zone marine protégée

Le littoral où se déroulent toutes nos plongées a été déclaré zone protégée. La pêche y est restreinte et la vie marine se multiplie rapidement - des espèces menacées, autrefois rares, sont désormais observées fréquemment.

La sécurité avant tout

Conformément à la loi espagnole, notre bateau est toujours piloté par un skipper certifié lorsque les plongeurs sont dans l'eau. Un instructeur ou Divemaster encadre chaque plongée. Oxygène et trousse de premiers secours à bord en permanence.

Équipement complet disponible

Notre centre de plongée dispose d'installations de stockage pour l'équipement personnel. Si vous n'avez pas votre propre matériel, la location complète est disponible, y compris les caméras GoPro.

De nombreux sites à explorer

Nous visitons régulièrement plus de 20 sites de plongée différents, composés de paysages volcaniques spectaculaires, d'arches et de cavernes, avec de quoi satisfaire tous les niveaux de formation. Les profondeurs au large atteignent 2000 mètres, mais nous fixons une limite raisonnable de 40 mètres pour nos plongées.

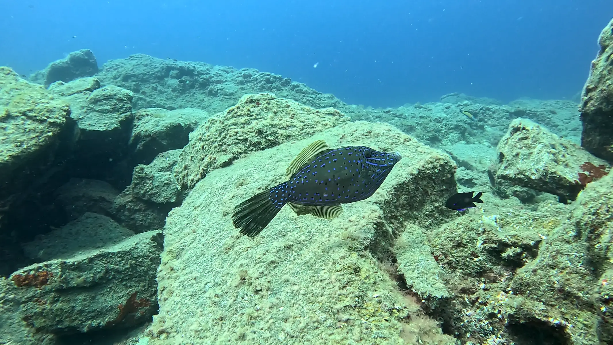
Situés dans un océan Atlantique subtropical, nous bénéficions d'une incroyable diversité de vie marine. N'oubliez pas votre appareil photo, ou louez l'une de nos GoPro.

Explorer les sites de plongée
Paysages volcaniques
Arches, cavernes et formations spectaculaires
Tous niveaux bienvenus
Des sites adaptés à chaque qualification
Profondeur raisonnable
40 mètres maximum (obligation légale)
Atlantique subtropical
Grande diversité de vie marine

Horaires des plongées

Les plongées partent deux fois par jour (en haute saison, parfois trois). Nous retournons toujours au port entre les plongées pour une pause café et le changement de bouteilles.

09:30
Plongée du matin
12:00
Plongée de midi
Haute saison
14:00 pour baptêmes & randonnée palmée

Trouvez votre expérience

Écrivez-nous sur WhatsApp

Indiquez-nous vos dates et votre niveau de certification, et nous organiserons les meilleures plongées pour vous.

(+34) 637 819 204
divinglosgigantes@gmail.com
Écrivez-nous